Filipinas se prepara para el impacto del súper tifón Goni
La primeras bandas nubosas y de precipitación están llegando a Filipinas y los expertos advierten que el tifón Rolly / Goni es el tifón más fuerte que ha azotado el planeta este año

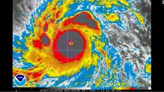
El súper tifón Goni es el más intenso de 2020 en todo el planeta con vientos asociado como si fuera un huracán de categoría 5.
En Filipinas, que lleva su propio sistema de nombramientos de tifones, se le llama Rolly, mientras que para el resto del mundo es Goni. Se espera que mañana 1 de noviembre de 2020 impacte cerca de la región de Bicol.
A las 15 UTC del 31 OCT 2020 el súper tifón Goni/Rolly , está ubicado aproximadamente a 600 km al este de Manila, Filipinas, ha seguimiento oeste-suroeste a las 22 km/h durante las últimas seis horas. La altura máxima de los olas significativas a las 1200z es 20 m. Lleva asociados vientos máximos sostenidos: 280 km/h, ráfagas 350 km/h.

Más de un millón de evacuados: Goni es extremadamente peligroso
Los planes de respuesta a desastres ya estaban en marcha. Pero el país se enfrenta en este momento a una situación única: un tifón violento durante una pandemia mundial. ¿Cómo responderá la oficina nacional de desastres a un desastre masivo durante una crisis de salud?
Ya en mayo, el Consejo Nacional de Gestión y Reducción del Riesgo de Desastres (NDRRMC) publicó el Memorando No. 54 para prepararse para la temporada de lluvias durante la pandemia de COVID-19.

“COVID-19 no evita que sucedan otros desastres, pero la pandemia nos lleva a cambiar y ajustar cómo prepararnos para ellos”, decía el memorando. Las autoridades garantizarán un estricto seguimiento de la salud y el distanciamiento físico del proceso de respuesta a situaciones de emergencia.
Dado que se espera que el tifón Rolly atraviese varias partes de la región de Bicol y Luzón central, es posible que se produzca un desastre de gran escala. Si las ciudades y los municipios no pueden acomodar a todos los residentes en sus respectivos centros de evacuación.
Las ciudades y municipios que sufrirán menos daños pueden albergar a evacuados de áreas que se verán muy afectadas por el tifón.
Extremadamente peligroso tifón #Goni acercándose a #Filipinas.
— Camarada Carlos (@eit1mx) October 31, 2020
Banda 13 de Himawari-8. pic.twitter.com/bTnehQibrF
Lecciones de del tifón Haiyan/Yolanda
Filipinas ha sufrido el paso de varios ciclones tropicales este año, pero no tan intenso como Goni. En Filipinas se recuerda la experiencia durante el Súper Tifón Yolanda (Haiyan) en 2013: el transporte quedó colapsado y los aviones no podían aterrizar en el aeropuerto en ese momento porque había muchos escombros esparcidos en la pista que debían limpiarse.
El súper tifón Yolanda (Haiyan) devastó el este de Visayas el 8 de noviembre de 2013, dejando más de 6.000 muertos y alrededor de 1.800 desaparecidos. Fue considerado uno de los tifones más fuertes del mundo registrados.
Todas las vías de transporte - terrestre, marítimo, aéreo - ya están preparadas para la evacuación masiva.

No te pierdas la última hora de Meteored y disfruta de todos nuestros contenidos en Google Discover totalmente GRATIS
+ Seguir a Meteored