Una baja del Pacífico este podría ser la primera tormenta tropical
El NHC/CNH está siguiendo a un sistema tropical en las zonas cálidas del Pacífico este, llamado Invest 90E. Si llega ser nombrado, lo sería como Amanda

Existen posibilidades de que esta estructura tropical podría convertirse en el primer sistema tropical nombrado en abril de 2020 en el Pacífico oriental.
Un sistema tropical se encuentra bien al sur y lejos de la península de Baja California en México. Se encuentra situado muy lejos de la costa y las predicciones apuntan que seguirá sobre aguas cálidas.
Se forma un seno tropical de bajas presiones seguida por el @NHC_Pacific muy al sur de Baja California #Mexico , como #Invest90E que podría transfromarse en la primara tormenta tropical nombrada en el Pacífico este: #Amanda
— RAM Revista del Aficionado a la Meteorología (@RAM_meteo) April 24, 2020
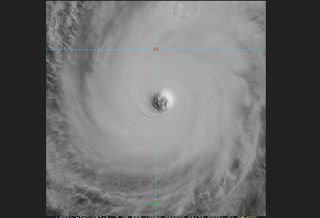
Loop de imágenes IR realzadashttps://t.co/ynkaohsqCT pic.twitter.com/EvPTLHjBZg
Los datos y las imágenes satelitales muestran que el sistema se está organizando pocos a poco. Posiblemente posea una circulación cerrada.

Las temperaturas del agua del océano en esta área del Pacífico oriental tropical son más cálidas que lo normal. El sistema se mueve sobre aguas a unos 29 ºC, que favorece el desarrollo. Además, el sistema tropical se desplaza en un entorno de baja cizalladura del viento que favorecen su desarrollo.
Las probabilidades de formación de una tormenta o depresión tropical nombrada, sumistradas por el NHC, son:
- a 48 horas, un 50 %.
- a 5 días, 50 %.

Si llega a ser nombrado sería el primero de la lista del año 2020 para el Pacífico tropical oriental y se llamaría Amanda.

No te pierdas la última hora de Meteored y disfruta de todos nuestros contenidos en Google Discover totalmente GRATIS
+ Seguir a Meteored