Amanda se podría formar en las próximas horas en el Pacífico Oriental
El sistema Invest 90E puede transformarse en el primer ciclón tropical registrado en el Pacífico Este tropical durante las próximas horas: sería el más temprano formado en esta cuenca

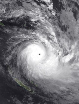
Un sistema de bajas presiones, denominado y seguido inicialmente como Invest 90E, se puede organizar y llegar a ser el primer ciclón tropical nombrado en el Pacífico Oriental. Sería bautizado como Amanda, convirtiéndose en el ciclón tropical más tempranero en su formación en esta parte del mundo. La baja tropical sigue estando en aguas abiertas y lejos de las costas de México. Las imágenes satelitales muestran que el Invest 90E se estaba organizando.

EL NHC/CNH aumentó ayer las posibilidades de formación del ciclón tropical de 50 a 80 %. El mismo NHC apuntaba que este fin de semana podría formarse depresión tropical Amanda con una probabilidad del 80 % a 48 y 5 días vista.

Invest 90E se desplaza actualmente sobre aguas cálidas del orden de 26-28ºC, bajo un entorno de cizalladura vertical del viento de débil a moderada, lo que favorecen el desarrollo y organización del sistema. Se desplazará hacia el norte y aguas abiertas, sin afectar a tierra. Si el sistema se desplaza hacia el norte, y encontraría aguas más frescas y entornos de cizalladura más altas. En estas condiciones, el Invest 90E (o Amanda) se debilitaría.
4/24 640pm PDT- New Special Outlook: An area of low pressure well south-southwest of Baja California Sur is still likely to become a tropical depression tomorrow. Full details: https://t.co/Oy8uof9ldM #90E pic.twitter.com/RtGmaIii9D
— NHC Eastern Pacific (@NHC_Pacific) April 25, 2020

Los modelos numéricos, que suelen subestimar la intensificación de los ciclones tropicales, pronostican una débil intensificación del Invest 90E y si llega a ser depresión tropical como Amanda, sería por poco tiempo. Veremos si estas ideas se cumplen o Amanda nos sorprende.
Si se forma Amanda en las próximas horas, sería el más temprano en la formación en esta cuenca. El actual récord lo posee la tormenta tropical Adrián que se formó el 9 de mayo de 2017.
No te pierdas la última hora de Meteored y disfruta de todos nuestros contenidos en Google Discover totalmente GRATIS
+ Seguir a Meteored