El tifón Surigae agita el Pacífico Occidental de forma inusual
Surigae (conocido como Bising en Filipinas) es el primer tifón de la temporada 2021 en el noroeste del Pacífico y la segunda tormenta tropical con nombre

No se espera que Surigae toque tierra, pero el tifón que azota el Océano Pacífico Occidental ya es una tormenta tropical importante. Cuando la tormenta se intensificó rápidamente a una fuerza de categoría 5 el 17 de abril de 2021, marcó la fecha más temprana del año en que cualquier tormenta tropical en el hemisferio norte había alcanzado tal intensidad en el mantenimiento de registros moderno.
Surigae (conocido como Bising en Filipinas) es el primer tifón de la temporada 2021 en el noroeste del Pacífico y la segunda tormenta con nombre. Según el Centro Conjunto de Alerta de Tifones de EE. UU. (JTWC), el súper tifón alcanzó vientos sostenidos de 165 nudos (190 millas / 305 kilómetros por hora) en las primeras horas de la tarde del 17 de abril. Según la Agencia Meteorológica de Japón, JMA, la presión central dentro del tifón se redujo a 895 hPa, una de las lecturas más bajas jamás registradas.
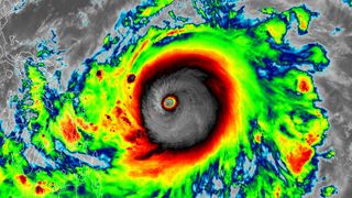
La imagen de satélite infrarroja de arriba fue adquirida alrededor del mediodía del 19 de abril con el Visible Infrared Imaging Radiometer Suite (VIIRS) en NOAA-20. Las nubes de Surigae se muestran utilizando datos de temperatura de brillo, que son útiles para distinguir las estructuras de nubes más frías de la superficie más cálida de abajo. Alrededor de ese tiempo, el JTWC informó que el tifón tenía vientos sostenidos de 120 nudos (140 millas / 220 kilómetros por hora).
Se espera que el tifón se curve y permanezca en alta mar, pero sus bandas exteriores han azotado las islas del centro y norte de Filipinas con fuertes lluvias, ráfagas de viento e inundaciones costeras. Al menos una persona ha muerto y casi 100.000 han evacuado las zonas costeras.

Esta imagen fue adquirida en las primeras horas de la mañana del 18 de abril con la banda VIIRS día-noche (DNB) en el satélite Suomi NPP de la NOAA-NASA. El DNB detecta luz en un rango de longitudes de onda desde el verde hasta el infrarrojo cercano y utiliza técnicas de filtrado para observar señales de luz como las luces de la ciudad, los incendios y la luz de la luna reflejada. La imagen muestra ondas de gravedad atmosférica que se propagan lejos del ojo de la tormenta.
“La intensa convección asociada con fuertes ciclones tropicales puede generar ondas de gravedad que se propagan hacia arriba 30 kilómetros o más en la atmósfera”, escribió Matthew Barlow , científico de la Universidad de Massachusetts-Lowell. "Estas ondas pueden parecerse a una ondulación en un estanque porque tienen un mecanismo físico similar, aunque a una escala muy diferente".
La temporada de tifones en el Pacífico occidental generalmente alcanza su punto máximo de julio a octubre, según la Administración de Servicios Atmosféricos, Geofísicos y Astronómicos de Filipinas. En promedio, se forman 20 ciclones tropicales en la región cada año y ocho o nueve atraviesan Filipinas.
"El entorno a gran escala para la formación de tifones en el noroeste del Pacífico es más favorable que el año pasado", señaló el meteorólogo Jeff Masters . "Hay más agua caliente, y La Niña ahora se está desvaneciendo hacia condiciones neutrales".
Imágenes de NASA Earth Observatory de Joshua Stevens , utilizando datos VIIRS de NASA EOSDIS LANCE , GIBS / Worldview , Suomi National Polar-orbiting Partnership y Joint Polar Satellite System (JPSS). Historia de Michael Carlowicz.
NASA Earth Observatory
No te pierdas la última hora de Meteored y disfruta de todos nuestros contenidos en Google Discover totalmente GRATIS
+ Seguir a Meteored