Dos nuevas zonas son monitorizadas en el Atlántico tropical por el NHC
Después de que el huracán Laura ya sea historia, dos nuevas zonas de bajas presiones son monitorizadas por el NHC en el Atlántico tropical y en aguas abiertas

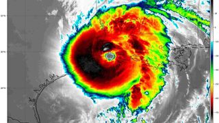
En estos momentos la depresión tropical Laura, ubicada tierra adentro sobre el oeste de Kentucky, se está debilitando como sistema tropical y pronto será post tropical. Muy probablemente entre a formar parte del flujo de los oestes ya en latitudes más altas y se desplace por el Atlántico Norte y sobre aguas abiertas.
Por otra parte existen dos sistemas tropicales de bajas presiones sobre el Atlántico tropical central.
La primera onda tropical (1) ubicada a unos 1.300 km al este de las Islas de Sotavento y no posee un centro aún bien definido. Está produciendo una zona desorganizada de lluvias y tormentas. Es posible cierto desarrollo gradual de este sistema durante los próximos días mientras se mueve hacia el oeste aproximadamente a 24 km/h hacia las Antillas Menores. El NHC le da estas probabilidades bajas de llegar a ser nombrado:
* A 48 horas ... baja ... 20 por ciento.
* A 5 días ... baja ... 30 por ciento.
La segunda onda tropical (2) se encuentra sobre el Océano Atlántico oriental, cerca de las islas de Cabo Verde. Se espera que este sistema se mueva muy lentamente durante los próximos días, y es posible algún desarrollo a principios de la próxima semana sobre el Atlántico tropical oriental o central. Estas son sus probabilidades:
* A 48 horas ... baja ... cerca de 0 por ciento.
* A 5 días ... media ... 40 por ciento.


Nos estamos acercando al pico de actividad de huracanes de 2020 desde el punto de vista climatológico y parece que se están cumpliendo las tendencias de que este año será más activa que la media.


No te pierdas la última hora de Meteored y disfruta de todos nuestros contenidos en Google Discover totalmente GRATIS
+ Seguir a Meteored