Alerta de formación de ciclón tropical en Madagascar
Es posible la formación de un ciclón tropical significativo en la zona de Madagascar en las próximas horas. Las lluvias serán bienvenidas a las zonas afectadas por la pertinaz sequía

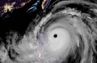
Hasta ahora el sistema se ha organizado mejor y es denominado como Invest 93S. Según el JTWC, Joint Typhoon Warning Center, los datos disponibles no justifican en estos momentos la emisión de avisos de un ciclón tropical nombrado en este momento.
Los vientos en el área se estiman entre 25 a 30 nudos. El sistema se mueve al oeste-suroeste en 17 nudos.
Las imágenes de satélite presentan señales de convección profunda y presentan signos de organización.
El análisis de niveles altos revela un ambiente favorable y el sistema tropical se mueve sobre una superficie del mar cálida con temperaturas de 29-31 ºC, siendo compensadas por cizalladuras verticales moderadas (15-20 nudos)del viento.

Los modelos indican intensificación durante los próximos 24 horas mientras el sistema se desplaza al oeste-suroeste con máximos sostenidos de los vientos en la superficie que se estiman en 25 a 30 nudos. La presión mínima se estimó cerca de los 1000 hPa.
El potencial para la desarrollo de un ciclón tropical significativo dentro de los próximos 24 horas siguen altas. Se espera que el sistema de desplace por Madagascar y salte hacia el continente africano en los próximos días, posiblemente hacia Mozambique.

Según el experto Etienne Kapikian, @EKMeteo, la temporada de ciclones tropicales 2021-2022 en el suroeste del Océano Índico está teniendo un comienzo excepcionalmente tardío pero finalmente ha despertado.
No te pierdas la última hora de Meteored y disfruta de todos nuestros contenidos en Google Discover totalmente GRATIS
+ Seguir a Meteored